Відповідні фото були опубліковані в Instagram NASA.
Нагадаємо, раніше в суботу через наближення урагану "Харві" президент США Дональд Трамп оголосив режим стихійного лиха в Техасі. Передбачається, що цей ураган може стати найгіршим штормом, який вдарив по материку після "Катріни" у 2005 році.
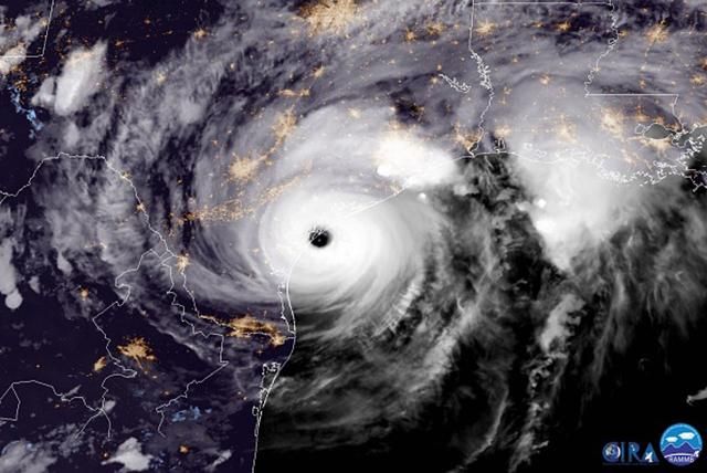
"На Міжнародній космічній станції, розташованій за 400 кілометрів над Землею, астронавт NASA Джек Фішер зафіксував ці зображення урагану "Харві", – мовиться у підписі до фото.
Як повідомляє Наіональний центр спостереження за ураганами США, максимальна швидкість урагану "Харві" досягає приблизно 60 метрів на секунду.
Фото урагану "Харві" з космосу
Фото урагану "Харві" з космосу
Фото урагану "Харві" з космосу
Фото урагану "Харві" з космосу






